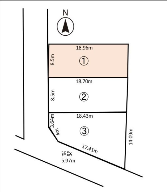
金沢市畝田中2丁目 1280万
お気に入り

月々お支払い例
30,001円



この物件にお問い合わせ



